Australia's Biggest Cyclone Ever Recorded

M.Maidsafe 9 views
Australia's Biggest Cyclone Ever Recorded

Australia’s Biggest Cyclone Ever Recorded

Hey everyone! Today, we’re diving deep into something pretty wild: the biggest cyclone ever recorded in Australia . When we talk about massive storms, Australia has definitely seen its fair share of powerful and destructive cyclones. But one stands out, not just for its ferocity, but for its sheer size and the lasting impact it had. We’re talking about a true behemoth of nature that reshaped coastlines and lives. Understanding these colossal weather events helps us appreciate the power of our planet and the importance of being prepared. So, buckle up as we explore the story behind the biggest cyclone recorded in Australia , a tale of extreme weather and resilience.

Unveiling the Champion: Cyclone Yasi

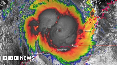
When it comes to the biggest cyclone recorded in Australia , the name that immediately comes to mind is Cyclone Yasi . This Category 5 tropical cyclone made landfall in North Queensland in February 2011, and let me tell you, it was an absolute monster. It wasn’t just the wind speed, which was terrifyingly high, but the enormous size of the storm system itself. Yasi was incredibly wide, with its destructive core extending for hundreds of kilometers. This meant that a vast area of Queensland experienced the full, unadulterated fury of a top-category cyclone. The sheer scale of Yasi was unprecedented in recent memory for Australia, affecting towns and cities from Cairns down to Mackay. The preparation and evacuation efforts were immense, with hundreds of thousands of people told to leave their homes. The damage was widespread and devastating, impacting homes, businesses, agriculture, and critical infrastructure. The recovery process was long and arduous, highlighting the profound and lasting effects such a massive natural disaster can have on a community. It really put into perspective the raw power that Mother Nature can unleash and the importance of robust disaster preparedness and response strategies. The economic cost was also staggering, running into the billions of dollars, but more importantly, the human cost, though thankfully with few fatalities directly attributed to the storm itself, was immense in terms of displacement and rebuilding lives. Yasi serves as a potent reminder of the destructive capabilities of cyclones and the vulnerability of coastal communities.

The Fury Unleashed: Yasi’s Impact

The impact of Cyclone Yasi , the biggest cyclone recorded in Australia , was nothing short of catastrophic. As it tore through North Queensland, it brought with it sustained wind speeds of up to 285 kilometers per hour, with even higher gusts. Imagine that – winds stronger than most high-speed trains battering your home, your town, your entire region. The storm surge associated with Yasi was also a major concern, inundating coastal areas with a wall of water that caused significant damage, far beyond what the wind alone could achieve. The sheer size of the storm meant that areas hundreds of kilometers inland still felt its wrath. Thousands of homes were destroyed or severely damaged, leaving countless families without shelter. The agricultural sector, a vital part of Queensland’s economy, was devastated. Banana plantations, sugarcane farms, and cattle properties were all ravaged by the winds and flooding. The economic fallout was immense, with damage estimates reaching well into the billions of dollars. Beyond the physical destruction, there was also a significant psychological toll on the affected communities. The trauma of experiencing such a powerful and destructive event, the uncertainty of the aftermath, and the long road to recovery left deep scars. The recovery efforts were a monumental undertaking, involving government agencies, emergency services, volunteers, and the community itself. It was a testament to the resilience of the Australian spirit, but it also underscored the need for ongoing investment in disaster mitigation, early warning systems, and robust infrastructure that can withstand the increasing intensity of extreme weather events, which climate change is unfortunately making more frequent and severe. The stories of survival and community support that emerged from the wreckage were truly inspiring, but they also served as a stark reminder of the destructive power of nature.

What Makes a Cyclone ‘The Biggest’?

So, what exactly do we mean when we talk about the biggest cyclone recorded in Australia ? It’s not just about wind speed, although that’s a massive part of it. When meteorologists discuss the ‘size’ of a cyclone, they’re often referring to a few key factors. Firstly, there’s the physical extent of the storm . This is measured by the radius of its wind field, particularly the area experiencing gale-force winds (34 knots or 63 km/h and above) and storm-force winds (48 knots or 89 km/h and above). A cyclone like Yasi had an incredibly large radius of gale-force winds, extending hundreds of kilometers from its center. This means the destructive area affected by the storm was enormous. Secondly, intensity is crucial. Cyclones are categorized on a scale, typically from 1 to 5, based on their maximum sustained wind speed. A Category 5 cyclone, like Yasi, is the most intense, with devastating winds capable of causing widespread destruction. However, a smaller, more intense storm can be more destructive in its immediate path than a larger, less intense one. The combination of a large physical extent and high intensity is what truly defines a colossal cyclone. Think of it like a spreading wildfire versus a concentrated inferno; both are dangerous, but a massive, intense storm like Yasi is like an enormous inferno that covers a vast landscape. The storm surge, the abnormal rise of water generated by the cyclone’s winds, and the amount of rainfall are also critical factors contributing to a cyclone’s overall destructive potential and its ‘bigness’ in terms of impact. Yasi had both a massive wind field and significant storm surge, making it a truly monstrous event. Understanding these different aspects helps us appreciate why Yasi is often cited as the benchmark for the biggest cyclone recorded in Australia .

Beyond Yasi: Other Notable Giants

While Cyclone Yasi often takes the spotlight as the biggest cyclone recorded in Australia , it’s important to remember that Australia has a history of facing other formidable cyclones. These storms, though perhaps not reaching the sheer scale or intensity of Yasi, have still left indelible marks on the nation’s history and its people. Take, for instance, Cyclone Tracy , which devastated Darwin in 1974. While Tracy was relatively small in terms of its physical footprint compared to Yasi, its intensity was extreme, almost completely destroying Darwin. It serves as a stark reminder that size isn’t the only measure of a cyclone’s destructive power. Then there’s Cyclone Hamish in 2009, another Category 5 storm that, while staying offshore for much of its life, was incredibly large and caused significant damage to the Great Barrier Reef due to its sheer size and the powerful waves it generated. We also saw Cyclone Debbie in 2017, which made landfall as a Category 4 cyclone, causing widespread destruction across Queensland and New South Wales, impacting communities from the Whitsundays down to the Gold Coast. Each of these storms, and many others like them, highlight the dynamic and often dangerous nature of Australia’s tropical weather patterns. They have all contributed to our understanding of cyclone behaviour, improved forecasting and warning systems, and underscored the importance of robust building codes and community preparedness. Studying these events, including the truly massive ones like Yasi, helps scientists refine their models and allows us to better prepare for future threats. They are chapters in Australia’s ongoing story of living with, and adapting to, the power of tropical cyclones. The ongoing monitoring and research into these systems are crucial for safeguarding lives and property along Australia’s vast coastline.

Lessons Learned and Future Preparedness

Experiencing cyclones like Yasi, the biggest cyclone recorded in Australia , offers invaluable, albeit harsh, lessons. These events are not just meteorological phenomena; they are societal tests. One of the most significant takeaways is the absolute necessity of effective early warning systems and public communication . When a storm of Yasi’s magnitude is approaching, timely, clear, and consistent information can be the difference between life and death. Evacuation orders need to be understood and acted upon swiftly. Infrastructure resilience is another critical lesson. We’ve seen how buildings not designed to withstand extreme winds and flooding are vulnerable. Investing in stronger building codes, reinforced infrastructure, and natural defenses like mangroves and dunes can significantly mitigate damage. The role of community and emergency services cannot be overstated. The coordinated response, the volunteer efforts, and the sheer grit of affected communities in the aftermath are crucial for recovery. However, this also highlights the need for adequate resources for these services and for robust disaster management plans that are regularly reviewed and updated. Finally, the conversation around climate change and its potential to increase the frequency and intensity of extreme weather events, including cyclones, is more important than ever. While Yasi was a natural event, understanding future trends is vital for long-term preparedness. We must continue to learn from past cyclones, adapt our strategies, and build more resilient communities to face the challenges that lie ahead. The biggest cyclone recorded in Australia is a powerful reminder that preparedness isn’t just a good idea; it’s a necessity.

Staying Safe in Cyclone Season

Living in Australia, particularly in the tropical and subtropical regions, means understanding and respecting cyclone season. It typically runs from November to April, and being prepared is key to staying safe when a powerful storm is on the horizon. First and foremost, stay informed . Monitor weather warnings issued by the Bureau of Meteorology (BoM) through official channels like their website, app, or radio broadcasts. Don’t rely on social media rumors. Have a plan . Know your evacuation routes and have a designated safe place to go if advised to leave your home. If you’re staying home, understand which parts of your house are safest (usually an internal room, away from windows). Prepare your home . Secure outdoor items that could become projectiles in high winds – furniture, toys, trampolines, even rubbish bins. Trim trees and branches that could fall on your house. Consider installing storm shutters or reinforcing windows and doors if you live in a high-risk area. Pack an emergency kit . This should include essentials like water, non-perishable food, a first-aid kit, a battery-powered radio, torches, extra batteries, medications, important documents, and cash. Ensure your mobile phone is fully charged. Listen to authorities . If an evacuation is ordered, leave immediately. Don’t wait. Your life is more important than your belongings. And finally, help your neighbours , especially the elderly or those with disabilities. Community support is vital during and after a cyclone. By taking these steps, you can significantly increase your safety and the safety of your loved ones when facing the threat of a cyclone, no matter how big.

Conclusion: The Enduring Legacy of Australia’s Biggest Cyclones

In conclusion, the tale of the biggest cyclone recorded in Australia , exemplified by the destructive power of Cyclone Yasi, is a profound reminder of the immense forces of nature we share our planet with. These colossal weather events shape our coastlines, test our infrastructure, and most importantly, forge the resilience of our communities. While Yasi stands out for its sheer scale and devastating impact, the legacy of all major cyclones – from the infamous Tracy to the widespread destruction of Debbie – is etched in our collective memory and our ongoing efforts to prepare and adapt. They underscore the critical importance of scientific research, advanced forecasting, robust building standards, and community preparedness. As we continue to live in a region prone to tropical cyclones, understanding their history, their potential, and the lessons they impart is not just an academic exercise; it’s a vital part of ensuring the safety and security of Australians. The biggest cyclone recorded in Australia serves as a potent symbol of nature’s power, but also of humanity’s capacity to endure, rebuild, and strive to be better prepared for whatever the future may hold.