Decoding Hurricane Center Satellite Imagery: A Beginner's Guide

M.Maidsafe 19 views
Decoding Hurricane Center Satellite Imagery: A Beginner's Guide

Decoding Hurricane Center Satellite Imagery: A Beginner’s Guide

Hey everyone! Ever wondered how meteorologists track those massive storms and predict where they’re headed? A big part of the answer lies in understanding hurricane center satellite imagery . It might seem complex at first glance, but trust me, once you get the hang of it, you’ll be able to follow along with the experts. Let’s dive into the world of satellite imagery and break down how it helps us understand and prepare for hurricanes.

What is Hurricane Center Satellite Imagery?

So, what exactly is hurricane center satellite imagery ? Simply put, it’s a collection of images and data transmitted from satellites orbiting Earth. These satellites are equipped with sophisticated sensors that can “see” different aspects of a hurricane, such as cloud cover, rainfall, and even sea surface temperatures. Think of it as a giant eye in the sky, constantly monitoring the storm and relaying information back to the National Hurricane Center (NHC) and other forecasting agencies. This data is then used to create detailed analyses and forecasts, helping us understand the storm’s current state and predict its future behavior.

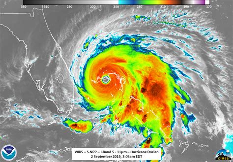
There are several types of satellite imagery that are crucial for hurricane tracking. Infrared imagery measures the temperature of cloud tops. Colder cloud tops usually indicate taller clouds and, potentially, more intense thunderstorms. Visible imagery , on the other hand, captures sunlight reflected off the clouds, providing a visual representation of the storm’s structure. It’s like looking at a photograph of the hurricane. Another vital type is water vapor imagery , which shows the moisture content in the atmosphere. This helps forecasters identify areas where the storm might be drawing in more energy and intensifying. The combination of these different types of imagery, along with other data like radar and surface observations, gives meteorologists a comprehensive view of the hurricane.

The constant stream of information from satellites is essential. It provides real-time updates on the storm’s location, intensity, and movement. This allows the NHC and other agencies to issue timely warnings and advisories. These warnings can save lives by giving people the time to prepare for the storm, evacuate if necessary, and take other safety precautions. Without this satellite data, we’d be flying blind, relying on much less accurate methods of tracking and predicting hurricanes. So, the next time you see a hurricane center satellite imagery image on the news, you’ll know that you’re looking at a critical tool in the fight against these powerful storms.

Key Components of Hurricane Center Satellite Imagery

Alright, let’s break down the key components of hurricane center satellite imagery so you can start to decipher what you’re seeing. Firstly, you’ll often see different color schemes. These colors aren’t just for show; they represent different aspects of the storm. For example, in infrared imagery, colder temperatures (usually associated with the tops of tall thunderstorms) are often represented by brighter colors, such as white or red. Warmer temperatures, on the other hand, are shown in darker colors. It’s like a temperature map of the cloud tops.

Then there’s the storm’s eye . The eye of a hurricane is the calmest part, a relatively clear area surrounded by the eyewall. On satellite imagery, the eye often appears as a circular or slightly oval-shaped area. The size and shape of the eye can tell you a lot about the storm’s intensity. A small, well-defined eye often indicates a stronger hurricane. The eyewall is the ring of thunderstorms that surrounds the eye, and it’s where the most intense winds and rainfall are located. Watching the eyewall and how it changes over time can help forecasters predict how the hurricane will evolve.

Another important component is the spiral rainbands . These are the bands of thunderstorms that spiral outward from the center of the hurricane. They’re like the arms of a giant vortex. These rainbands can bring heavy rain, strong winds, and even tornadoes. The structure and organization of these bands give clues about the storm’s overall strength and how it’s interacting with its environment. Keep an eye on how these bands are behaving – are they strengthening, weakening, or changing shape? These details help in making forecasts.

Finally, pay attention to the storm’s movement . The imagery will show the hurricane’s position over time, allowing you to track its path and speed. The NHC provides regular updates on the storm’s forecast track, and you can compare this to what you see in the satellite images. Are the storm’s movement and intensity consistent with the forecast, or are there any deviations? Observing these components will give you a deeper appreciation of the complexity of hurricanes and the crucial role satellite imagery plays in our understanding.

How to Interpret Different Types of Satellite Imagery

Now, let’s get into the specifics of how to interpret different types of satellite imagery . Each type of image gives us a unique perspective on the storm, and understanding them together paints a more complete picture. For starters, let’s talk about visible imagery . These images, as mentioned earlier, are essentially “photographs” of the storm taken from space. In visible images, you’ll see the cloud patterns, the shape of the storm, and the overall structure. They’re most useful during daylight hours because they rely on sunlight to reflect off the clouds. Look for the eye, the eyewall, and the spiral rainbands. The more defined these features are, the more organized and potentially stronger the hurricane is.

Next, let’s delve into infrared imagery . This is super helpful because it works day and night. It measures the temperature of the cloud tops. Colder cloud tops appear brighter (often white or red), indicating higher and more intense thunderstorms. These areas often correlate with the heaviest rainfall and strongest winds. Warmer cloud tops appear darker. By comparing infrared images over time, you can see how the storm is changing, how the thunderstorms are growing or shrinking, and whether the hurricane is intensifying or weakening. Remember, cooler equals taller, and usually, means more intense.

Finally, we have water vapor imagery . This type of imagery measures the amount of water vapor in the atmosphere. High concentrations of water vapor are often represented by brighter colors, and these areas can indicate regions where the storm is drawing in more energy and moisture. It helps forecasters identify areas where the storm might strengthen and can also reveal the flow patterns around the hurricane, such as the outflow from the storm. In a nutshell, to effectively interpret satellite images, you have to look for the overall cloud structure, identify the eye and eyewall, and note the activity of the spiral rainbands. Consider the temperature gradients from infrared data. Note the areas with high moisture, and then watch how these features change over time. By looking at all these types of imagery together, you’ll be well on your way to understanding the hurricane center satellite imagery and how meteorologists track these complex storms.

Tools and Resources for Viewing Hurricane Satellite Imagery

So, you’re ready to dive in and start exploring hurricane center satellite imagery ? Awesome! There are plenty of great tools and resources out there to help you. The National Hurricane Center (NHC) is the primary source of information, and its website ( https://www.nhc.noaa.gov/ ) is your starting point. The NHC provides a wealth of information, including real-time satellite images, forecast tracks, and discussions. You can also find links to other valuable resources on their site.

Another excellent source is the National Oceanic and Atmospheric Administration (NOAA) . NOAA provides a variety of satellite products through its various websites, like the GOES (Geostationary Operational Environmental Satellite) and the Himawari satellite data. Their websites feature interactive maps and data visualization tools that allow you to explore different types of satellite imagery and view them in various formats. These tools give you the ability to zoom, pan, and compare images over time. You will definitely get a better idea of how the storms are evolving.

Several private weather websites, such as Weather Underground or AccuWeather , also offer satellite imagery and analysis, often with user-friendly interfaces. These sites may include additional features such as animated loops and expert commentary. However, always remember to verify any information with official sources like the NHC to make sure the information is correct and coming from reliable sources. Many local news stations also provide satellite images as part of their weather coverage, and they often explain what you’re seeing in their broadcasts. This is a great way to learn from the experts. And, if you’re really interested, consider looking into specific satellite viewers and image processing software. These tools give you advanced capabilities to analyze the data, but they might involve a steeper learning curve. The key is to start with official and reputable sources and then gradually explore the other resources that are out there to enhance your understanding. By familiarizing yourself with these tools and resources, you’ll be well-equipped to follow the latest updates and forecasts on hurricanes, all thanks to the power of hurricane center satellite imagery .

Conclusion: Becoming a Hurricane Imagery Pro

Alright, guys, you’ve made it! You now have a basic understanding of hurricane center satellite imagery and how it helps us understand and prepare for these powerful storms. Remember that this is just the beginning. The more you explore, the more you’ll learn. As you continue to observe these images and follow the expert analysis, you’ll get better at spotting key features like the eye, eyewall, and rainbands. You’ll start to recognize the patterns and understand how these storms evolve. Keep in mind, too, that meteorology is a constantly evolving field. New technologies and techniques are always being developed, so there’s always something new to learn. The ability to understand satellite imagery is a valuable skill, especially if you live in an area prone to hurricanes. It empowers you to be more informed, prepared, and safe.

So, keep an eye on those images, follow the experts, and stay safe out there! Remember to consult official sources for the most up-to-date information, and don’t hesitate to ask questions. The more you learn, the better equipped you’ll be to weather any storm. Now go forth, explore, and become a hurricane center satellite imagery pro! You’ve got this!