Hurricane Patricia: Record-Breaking Minimum Pressure

M.Maidsafe 1 views
Hurricane Patricia: Record-Breaking Minimum Pressure

Hurricane Patricia: Record-Breaking Minimum Pressure

Hey guys! Ever wondered about the sheer power of nature? Let’s dive into the fascinating, and frankly terrifying, story of Hurricane Patricia and its record-breaking minimum pressure. Understanding the intensity of such a storm helps us appreciate the science behind weather forecasting and the importance of preparedness. So, buckle up, and let’s explore what made Hurricane Patricia so extraordinary!

The Genesis of a Monster

Hurricane Patricia, a name that still sends shivers down the spines of meteorologists, formed in the eastern Pacific Ocean in October 2015. Its rapid intensification was nothing short of astonishing. What started as a tropical disturbance quickly organized itself, drawing energy from the warm waters and favorable atmospheric conditions. Within a matter of hours, it transformed into a full-blown hurricane, and then, almost unbelievably, into a Category 5 behemoth. The speed at which Patricia gained strength caught many by surprise and highlighted the potential for extreme weather events in our changing climate.

The conditions that fueled Patricia’s rapid growth were a perfect storm, so to speak. Sea surface temperatures were exceptionally high, providing an abundant source of energy in the form of heat and moisture. Additionally, the atmospheric environment was characterized by low wind shear, which allowed the storm’s structure to remain intact and well-organized. This lack of disruptive winds meant that Patricia could efficiently draw in more warm, moist air, further intensifying its circulation and power. The convergence of these factors created an ideal breeding ground for a hurricane of unprecedented intensity. It’s a stark reminder of how delicate the balance of our climate system can be and how quickly things can escalate when that balance is disrupted.

Furthermore, the location of Patricia’s formation played a crucial role in its intensification. The eastern Pacific Ocean is known for its warm waters, but in 2015, temperatures were particularly elevated due to El Niño. This periodic warming of the ocean further amplified the energy available to the storm. Moreover, the storm’s track kept it over these warm waters for an extended period, allowing it to continuously fuel its growth. It was a recipe for disaster, and the results were truly staggering. The rapid intensification of Hurricane Patricia serves as a case study for meteorologists, highlighting the importance of understanding and predicting these complex interactions between the ocean and the atmosphere. It also underscores the need for continued research and improved forecasting models to better prepare for future extreme weather events.

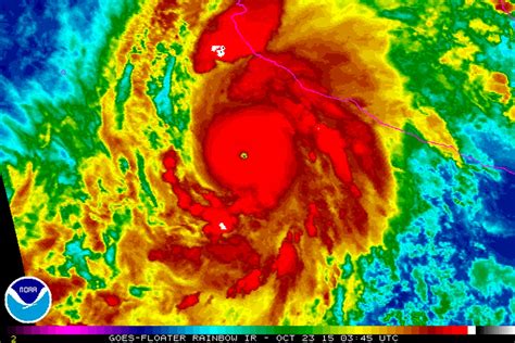
The Record-Breaking Minimum Pressure

Now, let’s get to the heart of the matter: the minimum central pressure. This is a key indicator of a hurricane’s intensity. Think of it like this: the lower the pressure, the more intense the storm. Hurricane Patricia achieved a minimum central pressure of 872 millibars (hPa) . Yes, you read that right! That’s the lowest ever recorded for any hurricane in the Western Hemisphere and globally for a hurricane that has been directly measured by aircraft! To put that into perspective, the previous record in the Western Hemisphere was held by Hurricane Gilbert in 1988 at 882 millibars. Patricia shattered that record by a significant margin, solidifying its place in weather history.

To really grasp how significant this pressure reading is, it’s helpful to understand what it represents. The minimum central pressure is the pressure measured at the very center of the hurricane’s eye. This is where the storm’s circulation is most intense, and the pressure difference between the eye and the surrounding atmosphere is greatest. A lower pressure indicates a stronger pressure gradient, which in turn leads to stronger winds. The extreme low pressure in Hurricane Patricia meant that the air was rushing in towards the center of the storm with incredible force, creating the devastating winds that characterized this historic hurricane. It’s a testament to the immense power of nature and the forces at play in these weather phenomena.

Moreover, the fact that this record was broken in the 21st century serves as a wake-up call. It highlights the potential for even more extreme weather events in the future as our climate continues to change. The warmer ocean temperatures and altered atmospheric patterns associated with climate change could create conditions that favor the formation of even more intense hurricanes. Understanding the dynamics of storms like Hurricane Patricia is therefore crucial for improving our ability to predict and prepare for future threats. It also underscores the importance of taking action to mitigate climate change and reduce the risk of these extreme weather events becoming more frequent and severe.

Winds of Fury

Of course, such an incredibly low pressure translated to unbelievable wind speeds. Patricia boasted sustained winds of 215 mph (345 km/h) , with gusts even higher! These were some of the strongest winds ever recorded in a hurricane, making Patricia an exceptionally dangerous storm. Imagine standing in winds that strong – it’s simply unfathomable for most of us. These winds were capable of causing catastrophic damage, tearing apart buildings, uprooting trees, and turning debris into deadly projectiles. The sheer force of the wind alone was enough to cause widespread destruction and pose a significant threat to human life. It’s a reminder of the destructive potential of these powerful storms and the importance of taking them seriously.

The combination of extreme winds and heavy rainfall made Hurricane Patricia a truly devastating force. The winds were not only strong enough to cause structural damage, but they also created a phenomenon known as wind-driven rain. This is when the force of the wind pushes the rain almost horizontally, allowing it to penetrate even the smallest cracks and openings in buildings. This can lead to significant water damage, even in structures that are otherwise relatively sound. The combination of wind and rain can also trigger landslides and mudslides, particularly in mountainous areas. The impact of these secondary hazards can be just as devastating as the direct effects of the wind and rain.

Considering the scale of destruction that Patricia could have unleashed, it’s a testament to effective disaster preparedness and the resilience of the communities in its path that the loss of life was not greater. Evacuation efforts were widespread and timely, and many people heeded the warnings and sought shelter in safer locations. This helped to minimize the number of people exposed to the most dangerous conditions. However, the potential for even greater devastation was certainly there, and the experience of Hurricane Patricia underscores the need for continued investment in disaster preparedness and mitigation efforts. It’s a reminder that even with the best forecasting and warning systems, the ultimate responsibility for safety lies with each individual and community.

Impact and Aftermath

Thankfully, Patricia made landfall in a relatively sparsely populated area of Mexico. While it still caused significant damage, the impact was less than it could have been had it struck a major city. There were reports of widespread flooding, landslides, and damaged infrastructure. The strong winds tore apart homes and businesses, leaving many people displaced. However, the relatively quick weakening of the storm after landfall helped to minimize the overall devastation.

The impact of Hurricane Patricia extended beyond the immediate damage caused by the storm. The disruption of infrastructure, such as roads and power lines, made it difficult to deliver aid and support to affected communities. The flooding and landslides contaminated water sources and increased the risk of waterborne diseases. The loss of homes and livelihoods created a humanitarian crisis, and many people were left struggling to recover from the disaster. The long-term effects of the storm included economic hardship, displacement, and psychological trauma.

Despite the challenges, the response to Hurricane Patricia was largely considered to be effective. The Mexican government, along with international aid organizations, mobilized resources to provide assistance to affected communities. Emergency shelters were set up, food and water were distributed, and medical care was provided to those in need. The recovery process was long and difficult, but the resilience of the Mexican people shone through. Communities came together to rebuild their homes and businesses, and slowly but surely, life began to return to normal. The experience of Hurricane Patricia serves as a reminder of the importance of international cooperation and solidarity in the face of natural disasters.

Lessons Learned

Hurricane Patricia taught us some valuable lessons about the power and unpredictability of nature. It highlighted the importance of accurate forecasting and timely warnings. It also demonstrated the need for effective disaster preparedness and mitigation strategies. Perhaps most importantly, it underscored the importance of respecting the power of nature and taking necessary precautions to protect ourselves and our communities.

One of the key lessons learned from Hurricane Patricia was the importance of rapid intensification. The storm’s ability to quickly gain strength caught many by surprise and highlighted the need for improved forecasting models that can accurately predict these rapid changes. Scientists are now working to better understand the factors that contribute to rapid intensification and to develop more sophisticated models that can incorporate these factors into their predictions. This will help to provide more timely and accurate warnings, allowing people to better prepare for these dangerous storms.

Another important lesson was the need for effective communication and public awareness. It’s crucial that people understand the risks associated with hurricanes and know what steps to take to protect themselves. This includes having a plan in place, knowing where to go in case of an evacuation, and having a supply of essential items on hand. Public awareness campaigns can help to educate people about these risks and empower them to take action to protect themselves. By working together, we can reduce the vulnerability of our communities to these extreme weather events.

The Future of Hurricanes

With climate change continuing to warm our oceans, we can expect to see more intense hurricanes in the future. Understanding storms like Patricia is crucial for preparing for these future events. We need to invest in better forecasting technology, improve our infrastructure, and educate the public about the risks of hurricanes. Only by taking these steps can we hope to minimize the impact of these powerful storms.

The future of hurricanes is uncertain, but one thing is clear: we need to be prepared. The warmer ocean temperatures and altered atmospheric patterns associated with climate change are likely to create conditions that favor the formation of more intense hurricanes. This means that we need to invest in research to better understand these complex interactions and to develop more accurate forecasting models. We also need to improve our infrastructure to make it more resilient to the impacts of these storms. This includes strengthening buildings, improving drainage systems, and protecting critical infrastructure, such as power plants and hospitals.

Finally, we need to educate the public about the risks of hurricanes and empower them to take action to protect themselves. This includes providing clear and timely warnings, promoting disaster preparedness, and encouraging people to evacuate when necessary. By working together, we can reduce the vulnerability of our communities to these extreme weather events and build a more resilient future. The lessons learned from Hurricane Patricia serve as a valuable reminder of the importance of preparedness and the need for continued vigilance in the face of a changing climate.

So, there you have it! Hurricane Patricia, with its record-breaking minimum pressure, stands as a testament to the raw power of nature. It’s a reminder of the importance of understanding and preparing for extreme weather events. Stay safe out there, guys, and keep an eye on the skies!