NOAA Hurricane Satellite Imagery: Your Ultimate Guide
NOAA Hurricane Satellite Imagery: Your Ultimate Guide
Hey there, weather enthusiasts! Ever wondered how meteorologists track those massive storms swirling in the ocean? Well, a big part of the answer lies in NOAA National Hurricane Center (NHC) satellite imagery . This isn’t just about pretty pictures; it’s the critical data that helps predict where hurricanes are headed, how strong they’ll get, and who needs to prepare. Let’s dive deep into the world of satellite imagery and see how it helps keep us safe!
Table of Contents
- Unveiling the Power of NOAA Satellite Imagery
- Decoding the Different Types of NOAA Satellite Imagery
- How to Access and Interpret NOAA Satellite Imagery
- The Role of Satellite Imagery in Hurricane Forecasting
- Future Trends in Satellite Technology and Hurricane Monitoring
- Conclusion: Staying Informed with NOAA Satellite Imagery
Unveiling the Power of NOAA Satellite Imagery
NOAA satellite imagery is more than just eye candy; it is a vital tool used by meteorologists worldwide to monitor and predict the behavior of hurricanes. These satellites, orbiting our planet, are equipped with sophisticated instruments that collect data on various aspects of a storm, including its cloud structure, wind speeds, and even sea surface temperatures. This data is then transmitted back to Earth, where it is analyzed by experts at the National Hurricane Center and other meteorological organizations. The information gleaned from this imagery helps in issuing warnings, understanding storm intensity, and estimating the potential impact areas. Basically, it helps keep you and me safe during hurricane season!
This technology has evolved dramatically over the years. Early satellites provided limited information, often showing only basic cloud patterns. Today’s satellites are incredibly advanced, offering high-resolution images and a wide range of data. They can see through clouds, measure rainfall, and even track the movement of individual thunderstorms within a hurricane. This increased detail allows forecasters to make more accurate predictions. Think of it like this: the more information they have, the better they can understand the hurricane’s behavior, and the better they can warn us about potential dangers.
The process starts with the satellites themselves. NOAA operates a fleet of weather satellites, including both geostationary and polar-orbiting satellites. Geostationary satellites stay fixed over a specific point on Earth, providing continuous monitoring of a particular region. Polar-orbiting satellites, on the other hand, circle the Earth from pole to pole, offering detailed global coverage. Both types of satellites are essential for comprehensive hurricane tracking.
Once the satellites collect the data, it’s sent to ground stations. From there, the data is processed, analyzed, and visualized. This is where the magic happens. Meteorologists use specialized software to create images and animations that show the storm’s development, track its path, and assess its intensity. These visuals are then used to create forecasts, issue warnings, and communicate information to the public. It’s a complex process, but it’s essential for protecting lives and property during hurricane season. The speed and accuracy of this process have improved greatly with advancements in technology, leading to better preparedness and response.
So, the next time you see a satellite image of a hurricane, remember the incredible technology and expertise behind it. It is a testament to the power of science and collaboration. The work of NOAA and other meteorological organizations is critical in keeping us informed and safe.
Decoding the Different Types of NOAA Satellite Imagery
Alright, let’s get down to the nitty-gritty of NOAA hurricane satellite imagery. When you look at these images, you’ll encounter a few different types, each providing unique information about the storm. Understanding these can help you better interpret the visuals and appreciate the complexity of hurricane tracking. First up, we have visible imagery, which is exactly what it sounds like – images taken in the visible light spectrum. These are essentially what you would see if you were looking at the storm from space with your own eyes.
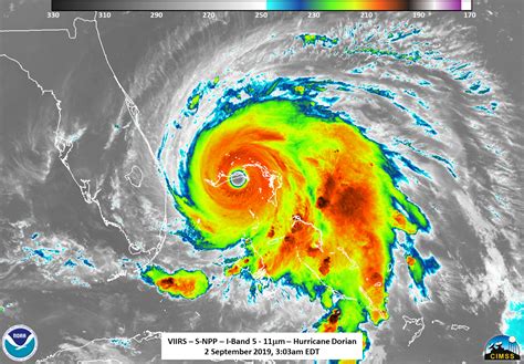
Visible images are great for seeing the overall cloud patterns, the size of the storm, and any distinctive features like the eye wall or spiral rain bands. They are most useful during the daytime when the sun is providing enough light to illuminate the clouds. However, these images can’t tell you much about the storm’s intensity or internal structure. That’s where infrared imagery comes in. Infrared imagery measures the temperature of the cloud tops. Colder cloud tops generally indicate higher cloud altitudes and more intense thunderstorms, often associated with a stronger hurricane. So, by looking at the color gradients in an infrared image, meteorologists can get a good sense of where the most intense parts of the storm are located.
Another vital type of imagery is water vapor imagery. This measures the amount of water vapor in the atmosphere. Water vapor imagery is particularly useful for identifying areas of rising and sinking air, which can help forecasters understand the storm’s dynamics and predict its movement. For example, dry air can weaken a hurricane, so identifying areas of dry air intrusion is crucial. Each type of imagery tells a different part of the story, and forecasters use all of them in conjunction to build a complete picture of the hurricane. The combination of these images, along with other data from sources like weather balloons and aircraft reconnaissance, allows for the most accurate and comprehensive assessments.
In addition to the basic types of imagery, there are also specialized products. For example, some images are created to highlight specific features like wind shear or sea surface temperatures. These specialized products give meteorologists additional insights, helping them understand what’s happening and how the storm may evolve. So, next time you are checking the weather and see a NOAA image, try to think about what the colors, patterns, and shapes are telling you. It’s a complex language, but with a little understanding, you can appreciate the science behind it and the effort to keep everyone safe during the hurricane season.
How to Access and Interpret NOAA Satellite Imagery
So, you are curious about NOAA hurricane satellite imagery and want to see it for yourself? Great! Accessing this data is easier than ever. The National Hurricane Center website is the primary source, offering a wealth of information including real-time imagery, forecasts, and storm updates. You can find links to the latest satellite images, animated loops showing the storm’s movement, and detailed analyses of the storm’s structure. There’s also the NOAA website, which provides access to a wide range of satellite data. It can be a little technical, but it provides a deeper dive into the raw data and specialized products.
Additionally, many other weather websites and apps include NOAA satellite imagery in their reporting. These apps often provide easy-to-understand visualizations and summaries. A quick search on your favorite weather app will get you started! Once you have found the imagery, the real fun begins: interpreting it. As we have discussed, different colors often represent different things. For instance, in infrared images, colder colors (like white or bright red) usually indicate higher, more intense thunderstorms. Warmer colors (like blue or green) often represent lower clouds or clear skies. Looking at the cloud patterns can give you a good idea of the storm’s size, shape, and overall organization.
The eye of the hurricane, if visible, is often a clear area in the center surrounded by a dense eyewall. The spiral rain bands, which extend outward from the center, indicate the storm’s rotation and where the heaviest rainfall is occurring. Don’t worry if it seems overwhelming at first. With a little practice, you will start to recognize the patterns and understand what the images are telling you. Another great resource is the National Hurricane Center ’s website, which offers educational materials and explains how to interpret the images. They even have interactive tools that allow you to explore different types of imagery and see how they are used in forecasting. So take some time to explore these resources, and soon you’ll be reading the language of the storms with ease. Understanding these images will not only make you a better weather enthusiast but will also help you to be better prepared for hurricane season.
The Role of Satellite Imagery in Hurricane Forecasting
Alright, let us talk about how NOAA satellite imagery is used in hurricane forecasting. Satellite imagery is the cornerstone of modern hurricane prediction. It provides the initial information that forecasters use to assess a storm’s current state. They use it to determine the storm’s size, intensity, and location. This is like the first step in creating a puzzle; you need the outline before you can start putting the pieces together. The initial assessment is then used as input for computer models, which simulate the storm’s future behavior. These models consider a wide range of factors, including the storm’s current state, atmospheric conditions, and sea surface temperatures. They use this information to predict the storm’s track, intensity, and potential impact areas.
Satellite imagery plays a crucial role in validating and refining these models. Forecasters constantly compare the model outputs with the real-time satellite data. When they see discrepancies, they can adjust the models or issue updated forecasts. It’s like a constant feedback loop that helps improve accuracy. Satellite imagery also helps in detecting changes in the storm. Storms can change rapidly, and satellite images allow forecasters to spot these changes as they happen. For example, if a storm suddenly intensifies, forecasters can see this in the imagery and issue warnings accordingly. This real-time monitoring is critical for keeping people safe.
Furthermore, satellite imagery helps in assessing the storm’s potential impact. By analyzing the cloud structure, rainfall patterns, and wind fields, forecasters can estimate the areas that are most likely to experience flooding, high winds, and storm surge. This information is used to issue warnings and evacuation orders, helping communities to prepare for the storm. The combination of satellite data, computer models, and expert analysis has dramatically improved the accuracy of hurricane forecasts over the years. This improvement has led to more effective warnings, reduced loss of life, and better preparedness among coastal communities. As technology advances, we can expect even more accurate and timely hurricane forecasts in the future. This is good news for everyone who lives in or near hurricane-prone areas.
Future Trends in Satellite Technology and Hurricane Monitoring
So, what does the future hold for NOAA hurricane satellite imagery and its role in hurricane monitoring? The field is constantly evolving, with new technologies and techniques emerging all the time. One exciting development is the increasing use of artificial intelligence (AI) and machine learning (ML). These technologies can analyze vast amounts of data, identify patterns, and make predictions more accurately and efficiently than ever before. AI and ML are being used to improve hurricane track forecasts, predict storm intensity changes, and even anticipate the potential for rapid intensification. This is helping forecasters make more informed decisions and provide more timely warnings.
Another trend is the development of more advanced satellite instruments. These new instruments will provide higher resolution imagery, more detailed measurements of atmospheric conditions, and even the ability to see through clouds. For example, new satellites are being designed to measure ocean winds more accurately, which is crucial for understanding how hurricanes intensify and move. There’s also a growing focus on using multi-sensor data fusion. This involves combining data from different types of satellites and other sources, such as aircraft reconnaissance and weather balloons, to create a more complete picture of the storm. The more data we have, the better we can understand hurricanes and the more accurate our forecasts will be.
In addition to technological advances, there is a growing emphasis on international collaboration. Hurricanes do not recognize borders, and many countries are working together to share data, develop new technologies, and improve forecasting capabilities. This collaboration is crucial for protecting lives and property in all affected regions. The future of hurricane monitoring is bright, with continued advancements in technology and international cooperation. We can expect more accurate forecasts, more timely warnings, and better preparedness for hurricanes in the years to come. This is a testament to the power of human ingenuity and our commitment to protecting each other from the forces of nature.
Conclusion: Staying Informed with NOAA Satellite Imagery
Alright, folks, we’ve covered a lot of ground today! From the basics of NOAA satellite imagery to its role in forecasting and the exciting future developments. Hopefully, you now have a better understanding of how these incredible tools help protect us during hurricane season. Remember, satellite imagery is more than just pretty pictures; it’s a vital source of information for meteorologists and a key ingredient in keeping you and me safe. So, the next time you see a hurricane image, you will appreciate the technology and effort behind it. Stay informed, stay prepared, and remember that science is on our side. Keep an eye on the National Hurricane Center and your local weather reports, and be ready to take action when a hurricane threatens your area. Together, we can navigate these storms and come out stronger. Stay safe out there, and thanks for reading!