NOAA Hurricane Tracker: Live Satellite Updates

M.Maidsafe 39 views
NOAA Hurricane Tracker: Live Satellite Updates

NOAA Hurricane Center Satellite Live Tracker

Hey guys! Ever wondered how the pros keep tabs on those swirling storms out in the ocean? Well, buckle up because we’re diving deep into the world of NOAA’s Hurricane Center and their amazing satellite live trackers! Understanding these tools not only satisfies our inner weather geek but also helps us stay informed and prepared when hurricane season rolls around. So, let’s get started and explore how these technologies work and why they are so crucial.

Understanding NOAA and Hurricane Tracking

First off, let’s break down who NOAA is. NOAA , or the National Oceanic and Atmospheric Administration, is a scientific agency focused on monitoring and predicting changes in the Earth’s environment, from the depths of the ocean to the surface of the sun. When it comes to hurricanes, NOAA’s Hurricane Center, officially known as the National Hurricane Center (NHC), is the go-to authority. These folks are the real deal, providing forecasts, warnings, and analyses of tropical cyclones to protect life and property.

Hurricane tracking is a complex process that involves a multitude of data sources. Historically, observations relied heavily on ships and aircraft, but these methods had limitations in coverage and safety. Today, satellites play a pivotal role. They offer a continuous, comprehensive view of potential and active storms, enabling forecasters to monitor their development, intensity, and path in real-time. Satellites can observe storms forming far out at sea, long before they pose an immediate threat to land. This early detection is crucial for issuing timely warnings and preparing coastal communities. The data collected includes sea surface temperatures, wind speeds, and cloud formations, all essential for predicting a hurricane’s behavior. This information feeds into sophisticated computer models that project the storm’s future track and intensity, helping emergency managers make informed decisions about evacuations and resource allocation.

Moreover, the advancements in satellite technology have significantly improved the accuracy of hurricane forecasts over the years. Early satellite imagery provided basic information about storm location and size, but modern satellites are equipped with advanced sensors that can measure a wide range of atmospheric parameters. These improvements have led to more reliable predictions, giving communities more time to prepare and potentially saving countless lives. Understanding the role of NOAA and the evolution of hurricane tracking methods provides a solid foundation for appreciating the importance of live satellite trackers.

The Power of Satellite Technology

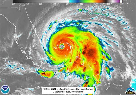
Satellites are the unsung heroes of hurricane tracking. These high-flying marvels provide a constant stream of data that helps forecasters understand what’s happening with a storm in real-time. There are two main types of satellites used: geostationary and polar-orbiting. Geostationary satellites hover over a fixed spot on Earth, providing continuous coverage of the same area. GOES (Geostationary Operational Environmental Satellites) , for example, give us a steady view of the Atlantic and Pacific basins, where most hurricanes affecting North America form. Polar-orbiting satellites, on the other hand, circle the Earth from pole to pole, offering detailed snapshots of the entire planet, though less frequently for a specific location.

The data these satellites collect is incredibly detailed. They use various sensors to measure things like cloud temperature, wind speed, and sea surface temperature. Infrared imagery, for instance, shows the temperature of the clouds, which helps in determining the height and intensity of the storm. Microwave sensors can even see through the clouds to measure rainfall rates and wind speeds near the ocean surface. This is super important because the stronger the winds and the heavier the rain, the more dangerous the hurricane.

Live satellite trackers compile all this data into an easily digestible format. You can see the storm’s current location, its projected path, and even animations showing its development over time. It’s like having a weather super-power! These trackers are not just for meteorologists; anyone can access them. They empower individuals, families, and businesses to stay informed and make timely decisions to protect themselves and their property. The combination of continuous monitoring, detailed data collection, and accessible presentation makes satellite technology an indispensable tool in hurricane preparedness and response. With these resources, we can better understand the threats we face and take proactive steps to mitigate the risks.

Accessing NOAA’s Live Satellite Trackers

Alright, so how do you actually get your hands on these awesome live satellite trackers? The good news is, NOAA makes this information readily available to the public. The primary source is the National Hurricane Center’s website. Just Google “NOAA NHC” , and you’ll find it in a snap. Once you’re on the site, navigate to the section for active tropical cyclones. Here, you’ll find detailed reports, forecasts, and, most importantly, interactive maps showing the storm’s current position and predicted path.

But wait, there’s more! Many weather websites and apps also pull data directly from NOAA, presenting it in user-friendly interfaces. Popular options include The Weather Channel, AccuWeather, and Windy. These platforms often offer additional features like radar imagery, local forecasts, and customizable alerts, making it even easier to stay informed. When using these resources, it’s always a good idea to cross-reference the information with NOAA’s official data to ensure accuracy.

When you’re looking at these trackers, keep an eye out for a few key things. The storm’s location is obviously important, but also pay attention to the predicted path, or “cone of uncertainty.” This cone represents the probable track of the storm’s center, but remember, the storm’s impacts can extend far beyond this cone. Wind speed is another critical factor. The Saffir-Simpson Hurricane Wind Scale categorizes hurricanes based on their sustained wind speeds, giving you an idea of the potential damage. Also, check the latest advisory for any specific warnings or recommendations from the NHC. Staying informed through these accessible tools empowers you to make informed decisions and take necessary precautions to protect yourself and your community. So go ahead, explore these resources and become a weather-savvy superhero!

Interpreting Tracker Data Like a Pro

Okay, so you’ve got the NOAA hurricane tracker up on your screen – awesome! But what does it all mean? Don’t worry, I’m here to help you decipher the data like a seasoned meteorologist. First up, let’s talk about the infamous “cone of uncertainty.” This isn’t just a random shape on the map; it represents the probable track of the storm’s center. Think of it as a range of possibilities, not a definite path. The wider the cone, the less certain the forecast.

Next, take a look at the storm’s intensity. The Saffir-Simpson Hurricane Wind Scale classifies hurricanes from Category 1 to Category 5 based on their sustained wind speeds. A Category 1 hurricane has winds of 74-95 mph, while a Category 5 packs winds of 157 mph or higher. Remember, the higher the category, the more destructive the storm. But wind speed isn’t the only factor. Storm surge, the abnormal rise of water generated by a hurricane, can also cause significant damage, especially in low-lying coastal areas. Pay attention to any storm surge warnings issued by the NHC.

Also, keep an eye on the storm’s movement. Is it moving quickly or slowly? A slow-moving hurricane can dump more rain on an area, leading to severe flooding. Finally, don’t forget to check the forecast discussion. This is where the experts at the NHC explain their reasoning behind the forecast, highlighting any uncertainties or potential changes in the storm’s behavior. By understanding these key elements, you can interpret the tracker data more effectively and make informed decisions to protect yourself and your loved ones. Remember, staying informed and prepared is the best way to weather any storm.

Real-Life Examples of Satellite Tracking Impact

To really drive home the importance of NOAA’s satellite tracking , let’s look at some real-life examples where it made a huge difference. Take Hurricane Harvey in 2017 , for instance. Satellite data allowed forecasters to accurately predict the storm’s slow movement and massive rainfall, giving communities in Texas ample warning to prepare for catastrophic flooding. The early and precise warnings enabled widespread evacuations and resource mobilization, undoubtedly saving countless lives.

Similarly, during Hurricane Irma in the same year , satellite imagery helped track the storm’s path across the Caribbean and towards Florida. The detailed data allowed emergency managers to anticipate the areas most at risk and coordinate relief efforts effectively. In both cases, the ability to monitor the storms in real-time and project their potential impacts was crucial for mitigating damage and protecting lives.

These examples highlight the tangible benefits of investing in satellite technology and weather forecasting. The ability to see a storm developing days or even weeks in advance allows for proactive measures that can significantly reduce the impact on communities. It’s not just about knowing a hurricane is coming; it’s about understanding its potential intensity, path, and the specific threats it poses. This level of detail empowers individuals, businesses, and governments to make informed decisions and take timely action. By continuously improving our satellite capabilities and forecast models, we can continue to enhance our ability to predict and prepare for these powerful storms, ultimately building more resilient communities.

Staying Safe During Hurricane Season

Okay, team, let’s talk about staying safe during hurricane season. Knowledge is power, and now that you’re practically experts on NOAA’s hurricane trackers , let’s put that knowledge to good use. First and foremost, have a plan. Don’t wait until a hurricane is bearing down on you to figure out what you’re going to do. Develop a family emergency plan that includes evacuation routes, meeting points, and communication strategies. Make sure everyone in your family knows the plan and practices it regularly.

Next, assemble a disaster kit. This should include essentials like water, non-perishable food, a first-aid kit, flashlights, batteries, and any necessary medications. Don’t forget important documents like insurance policies and identification. Keep your kit in an easily accessible location and check it periodically to ensure everything is in good condition. Stay informed. Monitor NOAA’s live satellite trackers and heed any warnings or evacuation orders issued by local authorities. If you’re told to evacuate, do it! Don’t risk your life by staying in a potentially dangerous area.

Finally, protect your property. Trim trees and shrubs around your home to prevent them from becoming projectiles in high winds. Secure outdoor furniture and other loose objects. Consider installing hurricane shutters or plywood over your windows to protect them from breaking. By taking these simple precautions, you can significantly reduce the risk of damage to your home and belongings. Remember, hurricane safety is a shared responsibility. By staying informed, having a plan, and taking proactive measures, we can all work together to protect ourselves and our communities during hurricane season. Stay safe out there, guys!